DOLAR:
43,50
EURO:
51,44
ALTIN:
6.917
BIST:
13.875
°C
İstanbul
Ankara
izmir
Adana
Adıyaman
Afyon
Ağrı
Aksaray
Amasya
Antalya
Ardahan
Artvin
Aydın
Balıkesir
Bartın
Batman
Bayburt
Bilecik
Bingöl
Bitlis
Bolu
Burdur
Bursa
Çanakkale
Çankırı
Çorum
Denizli
Diyarbakır
Edirne
Elazığ
Erzincan
Erzurum
Eskişehir
Gaziantep
Giresun
Gümüşhane
Hakkari
Hatay
Mersin
Iğdır
Isparta
Kahramanmaraş
Karabük
Karaman
Kars
Kastamonu
Kayseri
Kırıkkale
Kırklareli
Kırşehir
Kilis
Kocaeli
Konya
Kütahya
Malatya
Manisa
Mardin
Muğla
Muş
Nevşehir
Niğde
Ordu
Osmaniye
Rize
Sakarya
Samsun
Siirt
Sinop
Sivas
Şanlıurfa
Şırnak
Tekirdağ
Tokat
Trabzon
Tunceli
Uşak
Van
Yalova
Yozgat
Zonguldak
OLAY
GALERİ
OLAY
VİDEO
YAZARLAR
Bursa
Merkez
İnegöl
Gemlik
Büyükorhan
İznik
Harmancık
Karacabey
Mudanya
Keles
M.Kemalpaşa
Orhaneli
Orhangazi
Yenişehir
Kestel
Gürsu
Bursa’daki barajların doluluk oranları açıklandı
Yer: Bursa.. Kaza sonrası yardım etmek yerine…
Başkan Erkan Aydın, Osmangazi Kent Konseyi’nin yeni yönetimini ağırladı
Bursa’nın yeni kültür rotası! Başkan Erkan Aydın, tarihi bölgede
Bursa Büyükşehir Belediye Başkanı Bozbey’den deprem bölgesine ziyaret
TÜMÜ
Gündem
Ekonomi
Siyaset
Dünya
Resmi İlanlar
SON DAKiKA
Bursa’daki barajların doluluk oranları açıklandı
Bursa Büyükşehir Belediye Başkanı Bozbey’den deprem bölgesine ziyaret
Bursalılar dikkat! BursaKart’larınızdaki bakiyenizi kontrol edin
Bursalı iş adamı fabrika deposunu müzeye dönüştürdü! 5 bine yakın eseri siz de görebilirsiniz
Emeklinin ilk zam oranı belli oldu
Enflasyon rakamları açıklandı
Florida Haberleri
‘Vahşi Batı’ya geri dönüş
ABD'nin Florida eyaletinde 17 kişinin öldüğü okul saldırısının ardından Pensilvanya eyaletindeki bir kilisede silahlarla ayin düzenlendi.
01 Mart 2018 Perşembe 16:58
Kasırga nedeniyle bakımevinde 8 kişi öldü
Amerika Birleşik Devletleri'nin Florida eyaletinde Irma Kasırgası nedeniyle elektriklerin kesik olduğu bir bakımevinde kalan yaşlılardan
14 Eylül 2017 Perşembe 10:25
ABD’ye iki kasırganın faturası 290 milyar dolar
ABD'nin Florida eyaletini hafta sonu vuran Irma kasırgasının ve geçen ay Teksas eyaletini etkisi altına
11 Eylül 2017 Pazartesi 23:04
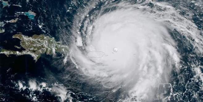
Irma kâbusu
ABD tarihinin en geniş kapsamlı tahliyelere neden olan Irma Kasırgası Florida'nın güney adalarını vurdu.
10 Eylül 2017 Pazar 17:40
Bugüne kadar görülenlerin en şiddetlisi! Panik başladı…
Karayipler'i vuran ve ABD'nin Florida eyaletine ulaşması beklenen Irma Kasırgası'nın 37 milyon kişiyi etkileyebileceği bildirildi.
07 Eylül 2017 Perşembe 10:22
İlk kez denenen karışımla infaz
ABD'nin Florida eyaletinde ırkçı nedenlerle cinayet işlemekten suçlu bulunan ve beyazların üstünlüğüne inanan (white supremacist)
25 Ağustos 2017 Cuma 21:53
ABD’de polise silahlı saldırı
Florida'da iki ayrı silahlı saldırıda 1 polis memuru hayatını kaybetti.
19 Ağustos 2017 Cumartesi 23:24
Polise ‘Kokainim çalındı’ ihbarı yaptı
ABD'nin Florida eyaletinde, uyuşturucu satıcısı David Blackmon, polisi arayarak arabasını hırsızlar tarafından soyulduğunu söyledi.
21 Temmuz 2017 Cuma 17:33
Rus jetlerinden NATO uçaklarına Karadeniz’de taciz
Rus jetlerinin NATO uçaklarını Karadeniz’de 10 Şubat günü dört defa taciz ettiği bildirildi.
03 Mart 2017 Cuma 08:04
ABD’de cami kundaklandı
ABD'nin Florida eyaletinde bir caminin kundaklandığı bildirildi, olayda can kaybı ya da yaralanan olmadı.
25 Şubat 2017 Cumartesi 14:33
Siyasete golf arası
ABD Başkanı Donald Trump, konuğu Japonya Başbakanı Abe'yle Florida'ya golf oynamaya gitti.
12 Şubat 2017 Pazar 17:41
ABD Başkanı Trump’tan vize yasağı açıklaması
ABD Başkanı Trump, vize yasağına dair, "Bizi ve ülkemizi yok edecek olanların değil, sadece bizi
07 Şubat 2017 Salı 00:22
ABD’de havalimanında silahlı saldırı
ABD'nin Florida eyaletinde Fort Lauderdale-Hollywood Havalimanı'nda meydana gelen silahlı saldırıda 5 kişi öldü, 9 kişi
06 Ocak 2017 Cuma 21:39
Hamile kadın uçakta doğum yaptı
ABD'de Pensilvanya eyaletinden Florida eyaletine giden Southwest Havayolları Şirketi'ne ait bir uçakta, hamile yolcu doğum
05 Aralık 2016 Pazartesi 20:09
ABD’de 4 eyalette olağanüstü hal ilanı
ABD'de etkili olması beklenen Matthew Kasırgası nedeniyle, Florida, Georgia, Güney Carolina ve Kuzey Carolina eyaletlerinin
05 Ekim 2016 Çarşamba 23:20
Evlendiği kadın torunu çıktı
Amerika'da kendisinden 44 yaş küçük bir kadınla evli olan adam eski aile albümüne bakarken kadının
03 Ekim 2016 Pazartesi 14:29
Putin gözaltında
ABD'nin Florida eyaletinin Palm Beach kentinde, Rusya Devlet Başkanı Vladimir Putin'le ayını ismi taşıyan bir
31 Ağustos 2016 Çarşamba 17:39
Tatbikatta rehine öldürüldü
ABD'nin Florida eyaletinin Punta Garda kentindeki polis akademisinin tatbikat sahasında gerçekleştirilen ve tüm polislerle beraber
11 Ağustos 2016 Perşembe 17:42
2 yaşındaki çocuğu timsah kaptı
ABD'nin Florida eyaletine bağlı Orlando kentindeki dünyaca ünlü tatil merkezi Disney World'un Grand Floridian Hoteli
15 Haziran 2016 Çarşamba 10:08
ABD’deki kanlı saldırıyı IŞİD üstlendi!
ABD'nin Florida eyaletinin Orlando kentinde en az 50 kişinin hayatını kaybettiği ve 53 kişinin yaralandığı
12 Haziran 2016 Pazar 22:59
ABD’de gece kulübünde silahlı saldırı: 50 ölü
ABD'nin Florida eyaletinin Orlando kentinde bir gece kulübünde meydana gelen silahlı saldırıda en az 50
12 Haziran 2016 Pazar 15:02
Camide silah eğitimi
ABD'nin Florida eyaletinde bulunan Darulselam camisinin hocası Nezar Hamza, İslam karşıtları tarafından kendilerine yönelik bir
25 Aralık 2015 Cuma 17:00
16 yaşındaki öğrencisinden hamile kaldı
ABD'de, öğrencisi ile seks ilişkisi yaşayan öğretmen skandallarına bir yenisi daha eklendi. ABD'nin Florida eyaletine
01 Aralık 2015 Salı 11:32
Bush’tan Türkiye’ye hava sahası ihlali desteği
ABD'de Cumhuriyetçi Parti'nin başkan aday adaylarından Florida eski valisi Bush, Türk hava sahasını ihlal eden
26 Kasım 2015 Perşembe 12:25
1
2
Sonraki
Veri politikasındaki amaçlarla sınırlı ve mevzuata uygun şekilde çerez konumlandırmaktayız. Detaylar için veri politikamızı
inceleyebilirsiniz..
X